|
千臨技会誌 2006 No.1 通巻96 |
| 講 義 | わが国における輸入感染症対策について | 内閣府参事官 (ライフサイエンス担当) 山本光昭 |
| 資 料 | 当院における輸入寄生虫症の実例 |
千葉大学医学部附属 検査部 伊瀬恵子 |
| 資 料 | 当院で分離されたコクシジイデスについて | 千葉大学医学部附属病院検査部 村田 正太、渡邊 正治 齊藤 知子、宮部 安規子 大橋 絢果、石井 知里 野村 文夫 千葉大学大学院医学研究員分子病態解析学 野村 文夫 |
| 施設紹介 | 独立行政法人国立病院機構 千葉東病院 |
|
|
講 義 |
|
| わが国における輸入感染症対策について |
| 内閣府参事官 (ライフサイエンス担当) 山 本 光 昭 |
| T.はじめに 戦後、飛躍的な成長を遂げたわが国では、1年間に海外渡航をする日本人が1600万人を超え、外国から来航する船舶や航空機を介してコレラや赤痢といった感染症だけでなく、近年海外で問題となっているSARSやエボラ出血熱、ウエストナイル熱等の感染症の国内侵入の水際での防止の対応が重要になってきている。本稿では、輸入感染症対策における検疫所の役割を述べるとともに、輸入感染症対策の今後の展望について述べる。 U.輸入感染症対策における検疫所の役割 検疫所は、わが国における輸入感染症対策を担う最前線基地として、全国の主要な海港・空港で、検疫・衛生・検査業務を行なっている。 検疫・検査業務として、海外で流行する検疫感染症等の国内への侵入と蔓延 を防止するため、「検疫法」に基づき、外国から来航する船舶や航空機及びその乗客、乗務員に対し、検疫官による検疫を行っている。具体的には、検疫感染症等の症状の有無をチェックし、症状のある人には、健康相談や病原体の有 無の検査を行い、早期の診断・治療に結びつけるとともに、必要な場合には医療機関への搬送を行っている。また、外国から来航した船舶や航空機が検疫感染症の病原体に汚染されていないかを検査することとなっている。さらに、海 外で流行している感染症等の情報の提供をするとともに、海外へ渡航する方々に海外で流行している感染症等のり患を予防することを目的に、黄熱やA型肝炎、破傷風、狂犬病等の予防接種を実施している。 衛生・検査業務として、感染症を媒介するねずみ族や蚊族の捕獲調査及び媒介体の同定検査、駆除を行っている。ねずみ族は、ペストを媒介とするノミの宿主であり、また、腎症候性出血熱等の各種感染症を媒介することで知られている。また、蚊族は、黄熱、マラリア、ウエストナイル熱等を媒介することで知られている。そのため、船舶や航空機に潜んだ、各種感染症の病原体を保持するねずみ族や蚊族が国内に侵入し定着することを防ぐため、港湾や空港周辺でねずみ、蚊の捕獲調査を行い、各種病原体の保有状況を検査して、駆除等必要な衛生対策を行っている。また、国際航行する船舶については、その求めに応じ船舶内の衛生検査を実施した上で、ねずみ族がいないことが確認された船舶に対して、6か月間有効な国際的に通用する証明書(ねずみ族駆除(免除)証明書)を発給している。 V.輸入感染症対策の今後の展望 輸入感染症対策については、SARSに代表される新たな感染症の発生、デング熱やウエストナイル熱等の動物媒介感染症の海外での流行を踏まえたサーベイランスの充実強化、輸入動物届出制度の創設など新たな対応が求められつつある。 また、2001年度の国土交通省国際航空旅客動態調査によると、7日以内の旅行者は全旅行者約1600万人中の62.1%の約1000万人となっており、一方、エボラ出血熱をはじめ多くの検疫感染症が7日以上の潜伏期間であることから、発病が日本国内において起こる確率が非常に高まっている。このことからも、輸 入感染症対策は、地域の医療機関、医師会、保健所、都道府県庁、検疫所、国の相互の密接な連携が必要不可欠となってきている。 さらに、米国における同時多発テロ以降、港湾や空港における生物テロを含むテロ対策が重要になりつつあるとともに、結核などの国内にも常在の感染症についても船舶や航空機内での集団感染といったことも考えられ、今後これらの課題についても、関係機関が積極的に関与していくことが重要であると考えられる。 今後は、国と地方自治体との役割分担、行政機関と民間機関との役割分担の見直しも視野に入れながら、保健所及び検疫所が、国民の健康と命を守る健康危機管理の第一線公衆衛生行政機関として、さらに国民から期待され信頼されるようになることが求められている。 W.むすびに WHOは「我々は今や世界規模で感染症による危機に瀕している。もはや、どの国も安全でない」と警告し、千葉県におけるBSE第一号や山口県における高病原性鳥インフルエンザの発生など、世界で起きていることは、日本でも起きてきている状況にある。社団法人千葉県臨床衛生検査技師会の皆様方に、輸入感染症対策に対する一層のご理解とご支援をいただくことを期待して、本稿を結ぶこととしたい。 |
![]() ![]() ![]() ![]() ![]() ![]() ![]() ![]() ![]() ![]() ![]() ![]() ![]() ![]() ![]() ![]() ![]() ![]() ![]() ![]() ![]() ![]() ![]() ![]() ![]() ![]() ![]() ![]() ![]() ![]() ![]() ![]() ![]() ![]() ![]() ![]() ![]() ![]() ![]() ![]() ![]() ![]() ![]() ![]() ![]() |
|
|
資 料 |
|
| 当院における輸入寄生虫症検出の実例 |
![]() |
| 千葉大学医学部附属 検査部 伊 瀬 恵 子 |
| 昭和20〜30年代日本では回虫症に代表される土壌伝播寄生虫症が蔓延していたが、公衆衛生対策の徹底や国民の公衆衛生に対する意識の向上で寄生虫症が激減した。しかし、近年のわが国の国際化に伴い以前はみられなかった寄生虫 症が増加している。 海外旅行などで現地にて感染して日本に持ち込まれる寄生虫症として、マンソン住血吸虫症、ビルハルツ住血吸虫症や飲料水や氷を感染源としたアメーバ症やジアルジア症、クリプトスポリジウム症、サイクロスポーラ症、ブラストシスチス症などの原虫症がある。また、重篤な症状を引き起こすサイチョウバ エが媒介するリーシュマニア症やツェツェバエが媒介するトリパノソーマ症、蚊を媒体としたマラリア症など、本来日本では見られなかった寄生虫症を経験する可能性が増してきた。 一方、日本人の生食嗜好による半生状態の肉類による無鉤、有鉤条虫症や施毛虫症、ドジョウの踊り食いなどゲテモノ食い嗜好を背景にした顎口虫症などを検出した例もある。 |
|
| 症例報告 | |
| 千葉大学医学部附属病院検査部で検出した輸入寄生虫症5症例を報告する。 〔症例1〕28歳の男性 1年間フランスでコック修行後帰国。1992年3月に排便時に白い片節を排泄したため当院内科を受診した。 受診時、生化学や血液検査は基準値内であった(表1)。 便を用いたホルマリン・エーテル法(以下MGL法)と片節の切れ端から広節裂頭条虫卵を検出した。患者はフランスでスモークサーモンを食していたためサケの筋肉内に移行したプレロセルコイドを摂取して感染したものと思われる。日本におけるサケが原因の条虫症は日本海裂頭条虫症がほとんどであるが、ヨーロッパでは北欧のサケによる広節裂頭条虫症が一般的であるため患者背景から広節裂頭条虫症と判定した(図1)。 |
|
![]() 表1 症例1の検査結果 |
![]() 図1 広節裂頭条中卵 |
| 〔症例2〕10歳の男児 シンガポールからの帰国子女1996年10月に成田検疫所で小形条虫症を指摘され駆虫を目的として当院小児科を受診した。〔症例2〕10歳の男児 シンガポールからの帰国子女1996年10月に成田検疫所で小形条虫症を指摘され駆虫を目的として当院小児科を受診した。 受診時検査では、好酸球が9%で高値以外は血液検査、生化学検査の異常は見られなかった(表2)。MGL法で短楕円形の小形条虫卵を検出した(図2)。 |
|
![]() 表2 症例2の検査結果 |
![]() 図2 小形条虫卵 |
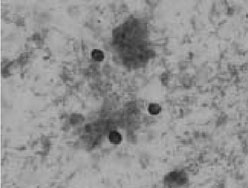
| 〔症例3〕25歳の男性 3週間のインド旅行中から水様性下痢と腹痛があったが通常の生活を行い、1999年3月30日当院内科を受診した。 受診時の検査結果は、CRPが陽性であるが生化学、血液検査ともに基準値内であった(表3)。 便培養検査の依頼以外に、細菌検査室でインド旅行中からの患者の症状(水様性下痢)からクリプトスポリジウム症を疑い、抗酸染色が施行された。一方、細菌検査室から連絡を受けて一般検査室でショ糖遠心沈殿浮遊法とMGL法が行われた。ショ糖遠心沈殿浮遊法で真菌大のピンク色に輝くようなクリプトスポリジウムのオーシストとMGL法でジアルジア(ランブル鞭毛虫)嚢子を検出した(図3、4)。 |
|
![]() 表3 症例3の検査結果 |
![]() 図3 クリプトスポリジウム 抗酸染色法 |
| 〔症例4〕25歳の男性 5週間のネパールとチベット旅行中から下痢と腹痛があり1999年4月15日に当院内科を受診した。 受診時の検査結果は、CRPが強陽性で血液検査のデータはやや高値であるが、生化学は基準値内であった(表4)。 ショ糖遠心沈殿浮遊法でクリプトスポリジウムのオーシストを検出した。 |
|
![]() 図4 クリプトスポリジウム ショ糖遠心沈殿浮遊法 |
![]() 表4 症例4の検査結果 |
| 〔症例5〕25歳の男性 5週間のインド旅行中から下痢があり、帰国後2004年4月20日に当院の消化器内科を受診した。 受診時の検査結果はCRPが強陽性、便潜血検査が陽性であったが生化学、血液検査ともに基準値内であった(表5)。 直接塗抹法とMGL法でジアルジアの嚢子を検出した(図5)。 |
|
![]() 表5 症例5の検査結果 |
![]() 図5 ジアルジア 嚢子 直接塗抹法 |
| 感染症の予防および感染症患者に対する医療に関する法律(感染症新法2004年改定)により届出が義務づけられている寄生虫症には五類感染症の赤痢アメーバ症、クリプトスポリジウム症、ジアルジア症がある。国立感染症研究所から出されている平成11年〜16年までの寄生虫症に関する五類感染症の届出数では、赤痢アメーバ症が平成11年度276件から平成16年度587件と顕著な増加を示している。アメーバ症の場合、症状がでるのが10%といわれていることから実際の感染者数はもっと多いと考えられる(図6)。また、われられの経験からもクリプトスポリジウムやジアルジアなどの原虫症による水様性下痢や腹痛などの症状があっても、帰国時に成田検疫所を通過し、しばらくの間通常生活をしていたケースが見られた。 寄生虫検査を行う時は、日本の国際化に伴う輸入寄生虫症に遭遇する場合があることを念頭に入れる必要であり、患者の渡航暦や食習慣、現在の症状などの情報が重要である。 寄生虫症が激減している日本では、医療関係者においても寄生虫症の知識や臨床経験に乏しい場合があるので、臨床医や各検査室との連携が必要である。寄生虫症を診断するためには、臨床検査技師が正確かつ迅速に寄生虫を検出することが不可欠である。そのためには、日頃から研修会などでトレーニングを 積む必要があると考える。 最後に、今回の症例以外の主な輸入寄生虫として赤痢アメーバとジアルジア 栄養体、イソスポーラ、無鉤条虫卵を掲載する(図7-11)。 |
|
![]() 図6 五類感染症(寄生虫症)の届出数の推移 |
![]() 図7 赤痢アメーバ栄養体 |
![]() 図8 赤痢アメーバ嚢子 |
![]() 図9 ジアルジア栄養体 |
![]() 図10 イソスポーラ |
![]() 図11 無鉤条虫卵 |
|
|
資 料 |
|
| 当院で分離されたコクシジオイデスについて |
| 千葉大学医学部附属病院検査部 村田正太 渡邊正治 齊藤知子 宮部安規子 大橋絢果 石井知里 野村 文夫 千葉大学大学院医学研究員分子病態解析学 野村 文夫 |
| 【はじめに】 コクシジオイデス症は、真菌であるCoccidioides immitisによる感染症である。この真菌は年間雨量の少ない半砂漠地帯に生息地があり、アメリカ合衆国西南部、メキシコおよび中南米が主な場所である。これらの生息地で感染し、帰国後、発症することから輸入真菌症として扱われ、コクシジオイデス症の他に、ヒストプラズマ症やパラコクシジオイデス症などがある。コクシジオイデス症は4類感染症の扱いを受け保健所への届出義務がある。感染力が非常に強く、健常者にも発症する。発症の危険因子としては高齢者・妊婦・糖尿病・AIDS・喫煙・ステロイド剤投与などである。 【当院で経験したコクシジオイデス症について】 当院でのコクシジオイデス症は、Wegener肉芽腫と診断され、プレドニンなどにより治療されたアメリカ人に発症した。血中(1→3)- -D-グルカン値は治療初期、中期に増加はなく、その後、胸水貯留を認めたときにカットオフ以下での若干の上昇があり、それ以降上昇を続けた。胸水培養からは真菌が発育し主治医に報告した。患者情報として、コクシジオイデス症の発症が見られる地域での在住歴があることを知り、コクシジオイデス症を疑い、真菌医学研究センターに同定を依頼した。菌体からのPCR等でCoccidioides immitisと同定された。また血液培養、喀痰培養においても同様に発育した。今回のコクシジオイデス症患者は、アメリカ(アリゾナ)在住時にCoccidioides immitisの感染を受けており、ステロイド療法により播種性コクシジオイデス症になったと考えられた。 【検査室におけるCoccidioides immitisの対応】 コロニー形態から本菌を推定するのは難しく、生息地への渡航歴などの患者情報から本菌を疑う事になる。本菌は国立感染症研究所による病原体等の危険度分類において、真菌として最高のレベル3に分類され、最も危険度の高い真菌とされる。病原性が強く、培養中に感染可能な分節型分生子を形成する。この分生子は同定操作などによって空気中に飛散し、吸引から肺へ感染する可能性があり、業務感染となる。このようなことからも設備の整った検査室(P3)での取り扱いが必要とされる。しかしP3の設備を備えた検査室はほとんどない。本菌が疑われる場合には、同定操作等をせずに分節型分生子の飛散を防ぐため、シャーレの周りをテープで密封する。その後、専門の施設(千葉大学真菌医学研究センター 病原真菌研究部門)に相談することを進める。ヒトに感染している状態(球状体や内生胞子)からのあらたなヒトへの感染はない。よって患者検体中にもこのような状態で存在する。しかし患者検体は放置することなくすみやかに処理する。これは適当な環境下では発芽して感染可能な分節型分生子を形成するからである。 【まとめ】 感染症検査を進める上で、効率よく原因菌を推定し同定するには、患者情報が必要である。今回の症例でも患者情報からコクシジオイデス症が疑われたことで、早期に原因菌が推定され、業務感染を起こすことなく専門機関での同定に至った。このように感染症検査に必要な患者情報を臨床医から提供してもらう必要がある。これには患者情報から原因菌の推定が可能であった症例を臨床へアピールし、患者情報の大切さを認識してもらうことも一法である。 【当院におけるコクシジオイデス症に対する対応】 当院入院患者からコクシジオイデス症患者が発生したことを受けて、感染症管理治療部・ICTでは下記の暫定マニュアルを作成した。コクシジオイデス症はヒトからヒトへの感染はなく、米国では風土病であり、必ずしも個室入院ではない。しかし、千葉大学医学部附属病院で、本症例を取り扱うことは稀であり、また本症は痰、胸水、血液から菌が分離されたことから、慎重を期すため重装備ではあるが、以下の通りマニュアルを定めた。 1.患者は個室に収容し、手術用マスクを着用する。 2.部屋の外にでることは可能であるが、必ず、マスクを着用する。 3.医療従事者は、原則、手術用マスクを着用する。患者がマスクを着用できない場合は、咳、痰などの呼吸器症状が強い場合は、ガウンを着用し、体液が白衣に付着しないようにする。 4.付き添いの家族は、患者と接する時間が長いのでマスク、ガウンを着用する。 5.喀痰などをふき取ったティッシュは、ビニール袋に入れ一箇所にまとめておく。袋の口を密閉した後、その日の内に感染性廃棄物として廃棄する。 6.尿は頻回に捨てる。廃棄に使用したカップ類は十分に水洗する。全身感染症の場合は、さらに厳重な対応が必要になるのでICTへ相談する。 7.患者の検体を検査部に提出する場合は、主治医が直接届ける。その時、Coccidioides immitisが存在する可能性を口頭で伝える。(検査室内感染を防止するため) 8.患者のベッド周囲は、1日1回、アルコールで清拭する。 9.シーツは2〜3日に一度交換する。使用後はアクアフィルムに入れ、感染性リネンとして処理する。 10.患者の衣類は、病棟で洗濯してもよい。乾燥機にかけ、熱を通すこと。自宅に持ち帰る場合は、ハイターなど次亜塩素酸を含有する漂白剤を使用した後、洗濯する。 11.職員にコクシジオイデス症を疑う症状が出現した場合は、感染症管理治療部に連絡し、対応を相談する。 |
|
|
施設訪問 |
|
| 独立行政法人国立病院機構 千葉東病院 |
| 11月9日にJR千葉駅から東方約6q、千葉市中央区仁戸名に位置する、独立行政法人国立病院機構千葉東病院を訪問させていただきました。隣には県がんセンター、道路を挟んで千葉社会保険病院、また周囲数キロ圏内には、県こども病院、リハビリテーションセンター、下総精神医療センターなど医療施設が林立する地域に位置しています。 【沿革】 千葉東病院は、昭和13年陸軍の傷兵保護院傷痍軍人千葉療養所として創設されたそうです。第二次世界大戦終了後、昭和20年に厚生省に移管され国立千葉療養所として発足されました。昭和41年に国立療養所千城園と統合して、国立療養所千葉東病院となり、平成16年3月、国立佐倉病院と統合して、国立千葉東病院として発足、平成16年4月に独立行政法人国立病院機構千葉東病院へ組織移行されたそうです。 【施設の概要】 千葉東病院は、敷地面積120,012u(東京ドーム3個分!)と広大な敷地をもたれているそうです。24診療科、病床数520床(一般300床、重心120床、結核100床)の施設規模だそうです。道路からはあまり背の高い建物が見られず、また緑に覆われているため、あまり施設の規模が解りにくいのですが、横に広い施設という印象を受けました。正面玄関から奥へのびる、メインストリートともいうべき廊下は終了点が見えないほどでした。 千葉東病院は、国から高度専門医療施設(準ナショナルセンター)として位置づけられています。統合した国立佐倉病院から引き継いでおられる、腎疾患に対して移植を含む高度で先進的な治療を行うほか、神経・筋疾患や、呼吸器疾患(結核含む)、重症心身障害や、エイズ、内分泌・代謝性疾患に関して、専門的で先駆的な医療を行うことが求められているそうです。腎移植や膵臓・膵島移植はその方面の基幹病院として、活発な活動をなさっておられるそうです。腎移植は年間50例程度、また、実績として生体膵臓単独移植術(国内初)、膵島移植(国内2例目)、生体部分膵・腎同時移植(国内2例目)などがあげられます。また、骨随細胞移入血管再生療法(BMI療法)を実施する国内14施設の内の1施設だそうです。 【研究検査科の紹介】 研究検査科は、HLAの研究がご専門の酒巻建夫先生を検査科長に、そして杉村有司臨床検査技師長を筆頭として、技師14名の人員で業務をなさっているそうです。 千葉東病院の研究検査科は、他施設ではあまり見ることのない形態で日常業務を行っておられました。検査室単位の業務でなく、3グル−プによる横断的業務となっているそうです。病理・細菌グル−プ:病理検査・細菌検査・小児外来尿検査(5名)、検体検査グル−プ:生化学検査・血液検査・免疫血清検査・一般検査・超音波検査(6名)、生理・HLAグル−プ:生理検査(超音波を除く)・HLA検査・外来採血(月・木・金8:30〜11:30 1名)(3名)。この様な一見変則的なグループ分けは、今年度前半に導入された、検体検査・生理検査オーダーリングシステム等を利用して、業務の効率化を図りながら、横断的業務によって、業務負担の均一化を図って行くことが目的だそうです。そして各種認定試験の勉強などを、業務が終了してから各個人が残って各個人の努力でするのではなく、仕事をしながら取得できるように、研究検査科として支援を行っていきたいと言うことでした。例えば、午前中の忙しい時間帯は検体検査をしていて、午後超音波検査に付くということが出来るということでした。 |
![]() |
| 最初に二階に位置する、検体検査室(生化学・血液・免役血清・一般)にうかがいました。病院全体の整備工事が今年9月末で終了したということですが、この検体検査室へもその整備工事にあわせて、現在のフロアーに移動してきたそうです。今年4月に検体検査オーダーリングシステムが導入され、臨床検査システム日立HILAS-500と、採血管準備システムBC・ROBO-686での採血管のバーコード対応が始まり、業務の効率化と検体の取り違え防止に役に立っているそうです。また、一階の小児科外来の脇には尿検査室が設けてあり、学校検診で要精査の判定を受けた小児患者の検体を受け付けるそうですが、夏休み等は100件程度の検体が提出されて、二階検査室に上げる時間がないため、一階の検査室に同じ機器が設置されているそうです。 全自動グルコ−ス測定装置:GA1170(ア−クレイ)、グリコヘモグロビン測定装置:HA8160(ア−クレイ)、生化学自動分析装置:7180(日立ハイテク)、尿生化学自動分析装置:7170(日立ハイテク)、多項目自動血球分析装置:SF3000(シスメックス)、全自動血液凝固測定装置:CA6000(シスメックス)、全自動免疫測定装置:AXSYM(アボットジャパン)、尿自動分析装置:アトラス(Bayer) |
![]() |
| 次に、病理検査室へうかがいました。千葉東病院の特徴である、腎疾患に対して高度で先進的な治療を行う施設ということで、腎生検の検体数が多いということでした。そのため、免役染色の発達した今日でも、電子顕微鏡の役割が非常に大きいということでした。 病理・細胞診検査業務支援システム:Expath(ニコン)、自動免役染色システム:ベンタナHXシステム(ベンタナ)、電子顕微鏡:H7600(日立) 次に細菌検査室にうかがいました。千葉東病院というと、私の頭の中では「結核」というイメージが強く、私の施設では結核患者がでると千葉東病院へというのが、当たり前でした。そのイメージ通りかは別として、喀痰の検体は非常に多いそうです。また、人の背丈ほどの孵卵器に培地がぎっしりと入っている光景に、驚いてしまいました。また、抗酸菌培養器による感受性試験の実施や、PCRによる検査も週に2〜3回行われているそうです。細菌検査室は部屋を汚染しないため普通陰圧ですが、PCRの機器が設置してある部屋は外からの汚染がないように、陽圧にしてあるそうです。 血液培養装置:BACTEC9050(日本ベクトン)、一般細菌自動機器:walk away40(DADE)、抗酸菌培養器:MGIT960(日本ベクトン)、PCR自動機器:コバスアンプリコフ(ロッシュ)、安全キャビネット:SCV1903EC2C(日立) |
![]() |
| 次に、生理検査室にうかがいました。心電図・肺機能・脳波検査は二階に、超音波検査室は一階と別れていました。生理検査室に立派な聴力検査用の防音室が設置されていたのですが、結核の治療薬の中には聴力に影響のある薬剤があるということで、聴力検査は重要ということでした。また、院内には結核患者専用の、「第三呼吸器外来」という外来が設けてあり、そこでも同じ検査が出来るように、同じ心電計や聴力検査用の機器はもちろん、放射線科の一般撮影用の設備や、CTも設置されているそうです。また、これからは超音波検査の方にも積極的に進出していきたいということでした。 肺機能検査装置:FUDAC70(フクダ電子)、聴力検査装置:AT61(リオン)、ホルタ−心電図解析装置:SCM2000(フクダ電子)、脳波検査装置:EEG1524(日本光電)、筋電図検査装置:MEM4104(日本光電) |
|
![]() |
| 臨床研究センター内にある、HLA検査室にうかがいました。HLA検査室には関東地方の献腎移植を希望している方の検体が保管されていました。腎移植には、身内の方より片方の腎臓を提供していただく生体腎移植と、心肺停止や脳死状態の方よりの献腎移植があるそうです。ここでは腎移植を受ける方と提供者のHLA検査と、またリンパ球直接交差試験という方法を用いて、適合度を調べるそうですが、献腎移植の場合亡くなった方よりの移植ですので、その適合試験も速やかに行わなければならないということで、検査は夜間にも行われることがあるそうです。 今回、千葉東病院を訪問させていただいて、決して多くない人数で、施設の特色である移植医療や結核治療などの検査をはじめとする各業務を、チームワークよくなされている印象をもちました。(写真撮影の集合、皆さん早かったです)これも検査科のコンセプトのひとつである「横断的業務内容により業務負担の均一化を図る」が、お互いの仕事への理解へ繋がっているのでしょうか。 最後にお忙しいところ訪問させていただいた、酒巻建夫先生、杉村有司臨床 検査技師長をはじめ、研究検査科の皆様ありがとうございました。 (福田 憲一、小川 中) |
![]() |
![]() |